Local Service Overview

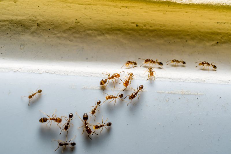
Get Ants Extermination Service in Duncanville, TX

Ants extermination services for property owners in Duncanville, TX, and nearby areas address ant infestations, including residential and commercial ant control projects.

Duncanville, TX

Ants extermination services provide property owners in Duncanville, TX with an effective solution to manage and eliminate ant infestations. These services help maintain a clean and comfortable living or working environment by preventing ants from invading kitchens, basements, and other areas. Reducing ant populations not only enhances the overall safety of the property but also preserves the functionality of indoor spaces, allowing residents and businesses to operate smoothly without the nuisance or potential health concerns associated with pests.

Engaging professional ant extermination can also contribute to the durability and curb appeal of a property. By addressing infestations promptly, property owners can prevent damage caused by ant activity, such as structural harm or contamination. Additionally, a pest-free exterior improves the property's visual appeal, making it more inviting and well-maintained. These services offer a practical approach to reducing ongoing maintenance needs and supporting the long-term value of the property.

Get Ants Extermination Service Quotes

  • Ants Extermination - needed when ants invade kitchens, bathrooms, or other indoor spaces in Duncanville, TX and surrounding areas.
  • Ants Extermination - required when persistent ant colonies threaten to spread across residential or commercial properties.
  • Ants Extermination - sought after when outdoor ant mounds become a nuisance near homes or gardens in nearby communities.
  • Ants Extermination - necessary when ants are found contaminating food sources or causing structural damage.
  • Ants Extermination - essential when ant activity increases during warmer months in Duncanville, TX and neighboring locations.

Get Ants Extermination Service Quotes

Ants Extermination Service
Ants Extermination Service
Ants Extermination Service

Ants extermination services involve the identification and removal of ant colonies within residential or commercial properties. Professionals typically conduct thorough inspections to locate ant nests and entry points, then implement targeted treatment methods to eliminate the pests. These services may include the application of baits, sprays, or dusts designed to eradicate ants at various stages of their life cycle. The goal is to reduce the ant population and prevent future infestations, helping property owners maintain a pest-free environment.

Ant infestations can cause a range of problems, from minor nuisances to more serious issues. Ants can contaminate food supplies, leading to potential health concerns, especially in kitchens or food storage areas. Some species, such as fire ants, can deliver painful stings that pose risks to residents or visitors. Additionally, certain types of ants can damage property by nesting in walls, electrical wiring, or wooden structures. Exterminating ants promptly can minimize these risks and restore comfort to affected spaces.

Properties that typically seek ant extermination services include single-family homes, apartment complexes, restaurants, and retail stores. Residential properties often require assistance in kitchens, pantries, and outdoor areas where ants are most active. Commercial establishments, especially those involved in food handling or preparation, prioritize pest control to ensure hygiene standards are met and to prevent business disruptions. Additionally, property managers and landlords may contract services to address ant issues across multiple units or common areas.

Professional ant extermination services are designed to address the specific needs of each property type and infestation severity. Local service providers use a variety of methods tailored to effectively eliminate ants and reduce the likelihood of recurrence. Whether dealing with a small kitchen invasion or a widespread outdoor colony, property owners can contact local pest control specialists to assess the situation and implement appropriate treatment plans to maintain a pest-free environment.

The overview below groups typical Ants Extermination Service projects into broad ranges so you can see how smaller, mid-sized, and larger jobs often compare in Duncanville, TX.

In many markets, a large share of routine jobs stays in the lower and middle ranges, while only a smaller percentage of projects moves into the highest bands when the work is more complex or site conditions are harder than average.

Initial Inspection - The cost for an ant inspection typically ranges from $50 to $150, depending on property size and complexity. This fee covers a thorough assessment to identify ant activity and entry points.

Treatment Services - Ant extermination treatments usually cost between $150 and $300 for a standard residential property. Prices vary based on the extent of infestation and the type of treatment used.

Follow-Up Visits - Follow-up treatments or inspections can range from $50 to $100 per visit. These visits ensure that ant activity has been effectively managed and eradicated.

Large Property Extermination - For larger properties or commercial spaces, costs may range from $300 to $800 or more. Additional charges may apply for extensive treatment areas or multiple visits.

Actual totals will depend on details like access to the work area, the scope of the project, and the materials selected, so use these as general starting points rather than exact figures.

Get an Ants Extermination Service Quote

Ants Extermination services involve professional removal methods to eliminate ant infestations in residential and commercial properties. Local service providers can assess the extent of the ant problem and implement targeted treatment plans.

Ants Control solutions focus on preventing future ant invasions through barrier treatments and ongoing monitoring. Experienced contractors can recommend effective strategies tailored to specific property types.

Ants Pest Management includes integrated approaches to manage ant populations while minimizing disruption to the environment and property. Local pros can provide customized pest management plans based on the severity of the infestation.

Ants Inspection services involve thorough evaluations to identify ant activity and entry points. Professional inspections help determine the most effective treatment options for control and prevention.

Ants Barrier Treatments create protective zones around properties to deter ants from entering. Contractors can apply these treatments to reduce the likelihood of future ant problems.

Ants Removal services are designed to quickly and effectively eliminate ant colonies from indoor and outdoor spaces. Local experts can implement safe and efficient removal techniques tailored to each situation.

Ants Extermination Service

When comparing ant extermination services in Duncanville, TX, experience is a key factor to consider. Local pros often have extensive knowledge of common ant species in the area and understand effective treatment methods suited to the local environment. Reviewing the backgrounds of different providers can help identify those with a proven track record of successfully managing ant issues for residential properties similar to a homeowner’s. This insight can assist in selecting a service provider with the appropriate experience to address specific ant problems effectively.

Clear communication and well-defined expectations are important when choosing an ant extermination service. Reputable local providers typically outline their process, scope of work, and any necessary preparations upfront. This transparency helps homeowners understand what to expect and ensures that there are no surprises during the service. Open lines of communication also facilitate addressing any questions or concerns throughout the treatment process, contributing to a smoother experience.

Reputable references and local reputation are valuable indicators of a service provider’s reliability. Homeowners can seek recommendations from neighbors or check online reviews to gauge the quality of local pros’ work. Contacting references or reviewing feedback can provide insights into the consistency of service, professionalism, and customer satisfaction. Since this is a lead-generation platform connecting homeowners with local service providers, it’s important to verify the reputation and credentials of any chosen contractor to ensure they meet personal standards for quality and dependability.

Get an Ants Extermination Service Quote

Property owners in Duncanville, TX use Ants Extermination Service services for practical projects around their homes and businesses. The sections below highlight everyday jobs and straightforward project options.

Ants Extermination Service
Ants Extermination Service

Ants extermination services are often sought by property owners in Duncanville, TX, dealing with common household infestations. Ants can invade kitchens, pantries, and other areas, attracted by food sources and moisture. Local professionals provide targeted treatments to eliminate colonies and prevent future invasions, helping residents maintain a clean and pest-free living environment.

In addition to residential properties, businesses in Duncanville may also require ant extermination to protect their premises and reputation. Food establishments, in particular, need effective pest control solutions to comply with health standards and ensure customer safety. Local pest control providers offer inspection and treatment options suited to various property types, addressing ant issues promptly and efficiently.

Get an Ants Extermination Service Quote

How do ant extermination services work? Ant extermination services typically involve inspecting the property to identify ant entry points and nests, followed by targeted treatments to eliminate the colony and prevent future infestations.

Are the treatments used safe for pets and children? Many local service providers use treatments that are safe when applied according to instructions; it is recommended to discuss safety concerns with the chosen contractor.

How long does an ant extermination treatment last? The duration of effectiveness can vary depending on the treatment method and level of infestation, with some treatments providing protection for several months.

Can ant extermination services prevent future infestations? Yes, professional services often include inspection and advice on preventing future ant problems, such as sealing entry points and removing attractants.

What should I do before a pest control appointment? It is generally advised to clear the area of clutter and food items, and follow any specific instructions provided by the service provider to ensure effective treatment.

Ants Inspection Services - Professionals can assess your property to identify ant infestation sources and determine the extent of the problem.

Ants Removal Solutions - Local service providers use targeted methods to effectively eliminate ant colonies from residential and commercial spaces.

Preventive Ant Control - Experts offer advice and treatments to help prevent future ant invasions and protect your property.

Ants Habitat Management - Service providers can recommend and implement measures to reduce outdoor habitats that attract ants to your property.

Ants Extermination Service

Considering Ants Extermination Service for a property in Duncanville, TX? The sections above highlight common project types, practical options, and details that often shape the scope of work.

When you are ready, use the quote form to share a few details about your project. Local pros can review the basics and respond with options that match what you have in mind.

Get an Ants Extermination Service Quote

Ants Extermination Quotes

Our Trusted Partners
Cantu Pest Control
Orkin
Hawx Pest Control