Local Service Overview

Get Ants Extermination Service in Justin, TX

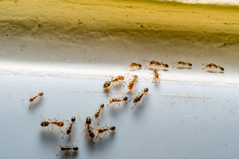
Ants extermination services for property owners in Justin, TX, and nearby areas address ant infestations, including residential and commercial pest removal and prevention projects.

Justin, TX

Ants extermination services provide property owners in Justin, TX with effective solutions to manage and eliminate ant infestations. Addressing these pests helps maintain a clean and comfortable living or working environment, reducing the risk of contamination and damage caused by ants. By choosing professional extermination, property owners can enjoy peace of mind knowing that their spaces are protected from the nuisance and potential health concerns associated with ant colonies.

In addition to pest control, effective ant extermination enhances the overall functionality and curb appeal of a property. Regular treatments can lead to longer-lasting results, minimizing the need for frequent maintenance and repairs. This service supports a safe, inviting atmosphere while preserving the durability of structures and landscaping, making it a practical choice for property owners seeking to uphold the value and appearance of their property in Justin, TX.

Get Ants Extermination Service Quotes

  • Ant Infestation Removal - Necessary when ants invade kitchens, pantries, or other indoor spaces in Justin, TX and surrounding areas.
  • Outdoor Ant Control - Suitable for homeowners dealing with ant colonies in lawns, gardens, or yard borders near Justin, TX.
  • Emergency Ant Extermination - Required when ant populations suddenly increase and threaten to spread rapidly within a property.
  • Persistent Ant Problem Solutions - Ideal for ongoing ant issues that do not respond to basic treatments in residential or commercial properties.
  • Preventative Ant Treatments - Recommended to stop ant colonies from establishing in homes and businesses in Justin, TX and nearby communities.

Get Ants Extermination Service Quotes

Ants Extermination Service
Ants Extermination Service
Ants Extermination Service

Ants extermination services involve the identification and elimination of ant infestations within residential, commercial, or industrial properties. Professionals typically conduct thorough inspections to determine the extent of the problem and locate the nests or colonies. Treatment methods may include the application of bait stations, insecticidal sprays, or dusts designed to target ants at various stages of their life cycle. These services aim to reduce ant populations effectively and prevent future invasions by implementing strategic treatments and sealing entry points.

Ant problems can cause significant inconveniences and concerns for property owners. Ants often invade kitchens, pantries, and other areas where food is stored, leading to contamination and potential health risks. Additionally, some ant species, such as carpenter ants, can cause structural damage by burrowing into wood. Exterminators help address these issues by removing existing colonies and implementing preventative measures to minimize the likelihood of recurring infestations, ensuring a cleaner and safer environment.

The types of properties that typically utilize ants extermination services vary widely. Residential homes frequently seek treatment to protect food supplies and maintain comfort. Commercial establishments, especially restaurants, grocery stores, and food processing facilities, often require regular inspections and treatments to comply with health standards and prevent pest-related disruptions. Industrial sites and warehouses may also engage extermination services to safeguard inventory and infrastructure from ant damage or infestation.

Professional ant extermination services are accessible for a range of property types, including single-family residences, multi-unit apartment complexes, retail stores, and office buildings. Property owners and managers contact local service providers to develop customized treatment plans based on the specific needs of their property and the severity of the ant problem. These services are designed to provide long-term solutions that help maintain pest-free environments across various property types.

The overview below groups typical Ants Extermination Service projects into broad ranges so you can see how smaller, mid-sized, and larger jobs often compare in Justin, TX.

In many markets, a large share of routine jobs stays in the lower and middle ranges, while only a smaller percentage of projects moves into the highest bands when the work is more complex or site conditions are harder than average.

Initial Inspection - The cost for an ant inspection typically ranges from $50 to $150, depending on property size and complexity. This fee covers identifying ant species and locating nests within the property.

Per-Visit Treatment - Single-treatment services usually cost between $100 and $300. The price varies based on the extent of infestation and treatment method used by local service providers.

Comprehensive Pest Control - Ongoing ant control plans can range from $200 to $600 for multiple visits over several months. These plans often include regular inspections and treatments to prevent re-infestation.

Emergency or Spot Treatments - One-time emergency treatments may cost around $75 to $200. These are suitable for immediate response to severe ant problems in specific areas.

Actual totals will depend on details like access to the work area, the scope of the project, and the materials selected, so use these as general starting points rather than exact figures.

Get an Ants Extermination Service Quote

Ants Extermination services are essential for addressing ant infestations in residential and commercial properties, helping to eliminate colonies and prevent future issues.

Local pros specializing in ants extermination can assess the extent of an infestation and implement targeted treatment plans to control ant populations effectively.

Ants extermination services often include inspection, baiting, and residual treatments to ensure thorough eradication of ant colonies.

Professionals in ants control can advise on preventive measures to reduce the likelihood of future ant invasions around properties.

Many local providers offer tailored solutions for different types of ants, such as carpenter ants, fire ants, or sugar ants, based on specific infestation needs.

Contacting experienced ants extermination specialists can help restore comfort and safety to affected indoor and outdoor spaces.

Ants Extermination Service

When comparing local ant extermination service providers, it is important to consider their experience in handling pest issues similar to those in your area. Established pros often have a history of managing ant infestations effectively, which can be a helpful indicator of their familiarity with common species and local conditions. Reviewing their track record and the length of time they have been providing pest control services can offer insights into their expertise and reliability.

Clear communication and well-defined expectations are essential when working with a pest control provider. Reputable local pros typically provide detailed descriptions of their treatment methods, what homeowners can expect during and after the service, and any necessary follow-up procedures. This transparency helps ensure that homeowners are well-informed and can plan accordingly, reducing potential misunderstandings or surprises.

Reputable references and reviews from previous clients can serve as valuable resources when evaluating ant extermination service providers. Local pros with a solid reputation often have positive feedback from homeowners in the community, reflecting their professionalism and quality of work. Effective communication channels, such as responsive customer service and accessible contact methods, also contribute to a smooth and trustworthy experience, making it easier to address questions or concerns throughout the process.

Get an Ants Extermination Service Quote

Property owners in Justin, TX use Ants Extermination Service services for practical projects around their homes and businesses. The sections below highlight everyday jobs and straightforward project options.

Ants Extermination Service
Ants Extermination Service

Ants extermination services are commonly sought by property owners in Justin, TX, facing persistent ant problems in residential or commercial spaces. Ant invasions can occur indoors or outdoors, often triggered by seasonal changes, food sources, or moisture issues. Property owners may look for professional assistance to effectively eliminate ant colonies, prevent future infestations, and restore comfort to their homes or businesses.

In addition to nuisance, ants can pose health concerns or cause damage to structures and belongings. Property owners might seek extermination services after noticing ant trails, mounds, or increased activity around their property. Engaging local pest control providers ensures targeted treatment options and advice on minimizing attractants, helping to maintain a pest-free environment.

Get an Ants Extermination Service Quote

How do ant extermination services work? Ant extermination services typically involve inspecting the property, identifying ant species and entry points, and applying targeted treatments to eliminate colonies and prevent future infestations.

Are ant treatments safe for pets and children? Many ant extermination methods are designed to be safe for household members, but it is recommended to discuss any concerns with the local service provider before treatment.

How long does an ant extermination treatment last? The duration of effectiveness varies depending on the treatment method and extent of the infestation; a local professional can provide guidance based on specific conditions.

Will I need multiple treatments for a persistent ant problem? Some infestations may require more than one treatment to fully eliminate ants, especially if colonies are deeply established or hard to access.

How can I prevent future ant infestations? Local pros often recommend sealing entry points, maintaining cleanliness, and removing food sources to help prevent future ant problems.

Ants Extermination Solutions - Local service providers offer effective methods to eliminate ant infestations and prevent future issues.

Inspection and Identification - Professionals can assess property conditions to identify ant entry points and nesting areas.

Targeted Treatment Options - Experts utilize a range of treatments tailored to the specific ant species and infestation severity.

Preventive Advice - Service providers can recommend steps to reduce attractants and keep ants from returning.

Ants Extermination Service

Considering Ants Extermination Service for a property in Justin, TX? The sections above highlight common project types, practical options, and details that often shape the scope of work.

When you are ready, use the quote form to share a few details about your project. Local pros can review the basics and respond with options that match what you have in mind.

Get an Ants Extermination Service Quote

Ants Extermination Quotes

Our Trusted Partners
Cantu Pest Control
Orkin
Hawx Pest Control
Mosquito Shield