Local Service Overview

Get Black Ant Extermination in Fort Worth, TX

Black Ant Extermination services for Fort Worth, TX, property owners typically address ant infestations, prevent future outbreaks, and treat residential or commercial structures.

Fort Worth, TX

Black ant extermination services are a practical solution for property owners in Fort Worth, TX seeking to maintain a comfortable and safe living environment. Ant infestations can disrupt daily routines, damage structures, and compromise hygiene, making prompt and effective removal essential. Professional exterminators use targeted methods to eliminate colonies, helping to reduce the risk of future invasions and ensuring that homes and businesses remain functional and free from unwanted pests.

Choosing expert ant control services can also enhance curb appeal and reduce ongoing maintenance efforts. A property free of ant activity looks more inviting and well-kept, which can be important for both residents and visitors. Additionally, effective extermination can contribute to the durability of structures by preventing damage caused by ant activity, ultimately supporting long-term property value and reducing the need for frequent pest-related repairs.

Get Black Ant Extermination Quotes

  • Ant Extermination - needed when ants invade kitchens or other indoor spaces in residential or commercial properties.
  • Carpenter Ant Control - required when wood structures show signs of damage or infestation in homes or buildings nearby Fort Worth, TX.
  • Fire Ant Removal - necessary for outdoor lawns and gardens to prevent aggressive ant colonies from disrupting outdoor activities.
  • Sugar Ant Treatment - sought when sweet food residues attract ants into living areas, especially in warmer months.
  • Pharaoh Ant Control - essential in healthcare facilities or multi-unit dwellings where persistent infestations pose health concerns.

Get Black Ant Extermination Quotes

Black Ant Extermination
Black Ant Extermination
Black Ant Extermination

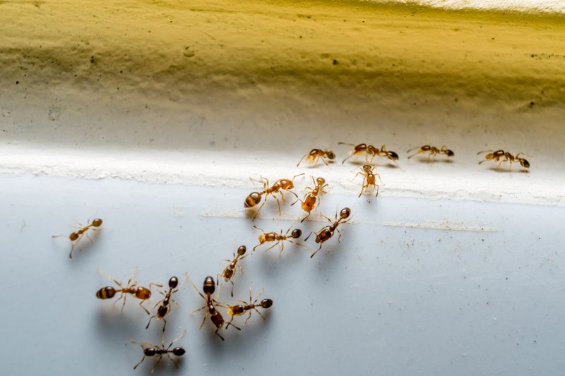
Black ant extermination services focus on identifying and eliminating black ant infestations within residential, commercial, and industrial properties. These services typically involve thorough inspections to locate nests and pathways, followed by targeted treatments to eradicate existing colonies. Treatment methods may include the application of residual insecticides, baiting systems, and other pest control techniques designed to reduce ant populations effectively. The goal is to address the immediate problem of black ants while also implementing strategies to prevent future invasions.

Black ants can create significant problems when they establish colonies inside or around structures. They are known to invade kitchens, pantries, and other areas where food is stored, leading to contamination and unsanitary conditions. Additionally, black ants can sometimes cause structural damage by nesting within walls or under foundations. Their presence can be persistent and difficult to manage without professional intervention, especially when colonies are well-established or hidden deep within property structures.

The services are commonly sought for various types of properties, including single-family homes, apartment complexes, restaurants, and retail stores. Residential properties often require black ant extermination to protect food supplies and maintain cleanliness. Commercial establishments, especially those involved in food service or retail, may need regular pest control to ensure compliance with health standards and to prevent infestations that could disrupt operations. Industrial facilities with extensive storage or manufacturing areas may also utilize these services to control ant populations and prevent damage or contamination.

Professional black ant extermination services are designed to provide comprehensive solutions tailored to each property’s specific needs. Local pest control providers typically conduct detailed inspections, recommend appropriate treatment plans, and offer ongoing maintenance options if necessary. Contacting experienced service providers can help property owners and managers effectively manage black ant problems and maintain a pest-free environment.

The overview below groups typical Black Ant Extermination projects into broad ranges so you can see how smaller, mid-sized, and larger jobs often compare in Fort Worth, TX.

In many markets, a large share of routine jobs stays in the lower and middle ranges, while only a smaller percentage of projects moves into the highest bands when the work is more complex or site conditions are harder than average.

Initial Inspection - The cost for a black ant inspection typically ranges from $50 to $150. This fee covers a thorough assessment of the infested areas by local service providers.

Treatment Services - Black ant extermination treatments generally cost between $150 and $300 per service. Prices vary based on the size of the property and the extent of the infestation.

Ongoing Prevention - Preventative treatments or follow-up visits can range from $100 to $250 each. These services help maintain control and prevent future ant problems.

Cost Factors - The total cost may fluctuate depending on property size, severity of infestation, and specific treatment methods used by local contractors. Some providers may charge additional fees for complex cases.

Actual totals will depend on details like access to the work area, the scope of the project, and the materials selected, so use these as general starting points rather than exact figures.

Get a Black Ant Extermination Quote

Black Ant Extermination services are essential for addressing infestations in residential and commercial properties, helping to eliminate these pests effectively. Local pros specializing in ant control can assess the extent of the problem and recommend appropriate treatment options.

Black Ant Control projects often involve targeted treatments to remove colonies and prevent future invasions, ensuring a pest-free environment for homes and businesses. Experienced service providers use proven methods to manage black ant populations safely and efficiently.

Ant Prevention Solutions focus on identifying potential entry points and implementing barriers to keep black ants from returning, providing ongoing protection for property owners. Local specialists can tailor prevention strategies based on specific property conditions.

Residential Ant Extermination services are designed to address black ant issues within homes, safeguarding living spaces from damage and nuisance caused by ant colonies. Local contractors are equipped to handle infestations in various residential settings.

Commercial Ant Management involves integrated pest management approaches to control black ants in business environments, helping to maintain hygiene standards and prevent disruptions. Local pest control providers can develop customized plans for commercial properties.

Infestation Inspection and Treatment services include thorough assessments to locate black ant nests and effective application of treatments to eradicate colonies. Local experts are available to perform detailed inspections and recommend suitable solutions.

Black Ant Extermination

When selecting a professional for black ant extermination services, it is important to consider their experience in handling ant infestations specific to residential properties. Homeowners should inquire about how long a contractor has been providing pest control solutions, especially those related to ants, to gauge their familiarity with common challenges and effective treatment methods. A reputable local provider will typically have established a track record of successfully managing ant issues within the community, which can be an indicator of their expertise and reliability.

Clear communication and transparent written expectations are essential when working with a pest control service. Homeowners should seek providers who are willing to outline the scope of work, treatment procedures, and any necessary preparations in writing. This helps ensure that both parties understand what will be done and can prevent misunderstandings. Reliable service providers often maintain open lines of communication, promptly addressing questions or concerns, and providing detailed information about the approach they plan to take for black ant extermination.

Reputable references and a history of positive feedback from previous clients can help guide homeowners toward trustworthy local pros. While the information below introduces options in the area, it does not perform the work directly; instead, it connects users with qualified service providers. Homeowners are encouraged to request references or reviews from past clients to verify the quality of service and professionalism. Effective communication, experience, and a solid reputation are key factors to consider when comparing local options for ant extermination services.

Get a Black Ant Extermination Quote

Property owners in Fort Worth, TX use Black Ant Extermination services for practical projects around their homes and businesses. The sections below highlight everyday jobs and straightforward project options.

Black Ant Extermination
Black Ant Extermination

Black ant extermination services are often sought by property owners in Fort Worth, TX, who notice persistent ant activity around their homes or businesses. Common situations include encountering large colonies invading kitchens, bathrooms, or outdoor spaces, especially during warmer months. Property owners may also seek help when ant problems begin to affect daily routines or when previous DIY efforts have not effectively eliminated the pests.

In addition to nuisance concerns, residents and business owners might look for professional extermination services to prevent potential damage or contamination caused by ant colonies. Ant infestations can sometimes indicate underlying issues like moisture problems or structural vulnerabilities, prompting property owners to address both the pests and the conditions that attract them. Connecting with local pest control providers can help manage these issues efficiently.

Get a Black Ant Extermination Quote

Why are black ants attracted to my home? Black ants are drawn to food sources, moisture, and shelter, making homes and kitchens common areas for infestations.

What are common signs of a black ant infestation? Signs include visible ant trails, small piles of dirt or debris near entry points, and finding ants in kitchen or bathroom areas.

How do pest control professionals typically eliminate black ants? They use targeted treatments such as baits, sprays, and barrier methods to remove colonies and prevent future invasions.

Are black ants dangerous to humans or pets? Black ants are generally not harmful, but they can contaminate food and surfaces; professional removal helps reduce these nuisances.

How can I prevent black ant infestations? Keeping food sealed, maintaining dry environments, and sealing entry points can help reduce the likelihood of black ant problems.

Black Ant Extermination Methods - Local service providers can recommend effective strategies for eliminating black ants from residential or commercial properties.

DIY vs. Professional Extermination - Learn about the advantages of hiring experienced exterminators over DIY solutions for lasting black ant control.

Signs of Black Ant Infestation - Identify common indicators of black ant presence to determine when professional assistance may be needed.

Preventive Black Ant Control - Explore tips and services that help prevent future black ant invasions and maintain pest-free spaces.

Black Ant Extermination

Considering Black Ant Extermination for a property in Fort Worth, TX? The sections above highlight common project types, practical options, and details that often shape the scope of work.

When you are ready, use the quote form to share a few details about your project. Local pros can review the basics and respond with options that match what you have in mind.

Get a Black Ant Extermination Quote

Black Ant Extermination Quotes

Our Trusted Partners
Cantu Pest Control
Orkin
Hawx Pest Control
Mosquito Shield