Local Service Overview

Get Black Ant Extermination in Crowley, TX

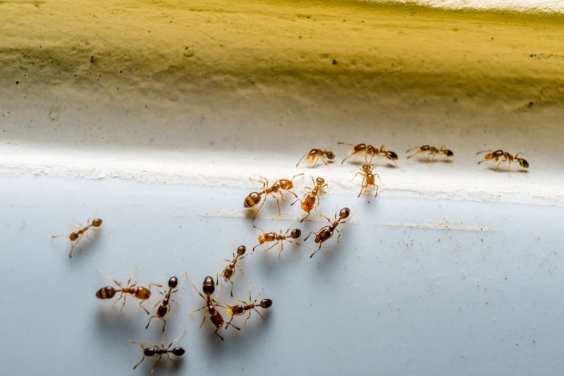
Black Ant Extermination services for property owners in Crowley, TX, address ant infestations, prevent future invasions, and treat residential or commercial structures.

Crowley, TX

Black ant extermination services are a practical solution for property owners in Crowley, TX seeking to maintain a comfortable and safe environment. These services help eliminate persistent ant infestations that can disrupt daily activities, damage structures, or contaminate food supplies. By addressing ant problems promptly, property owners can enjoy a more functional living or working space, free from the nuisance and potential health concerns associated with these pests.

Choosing professional ant extermination also offers benefits related to durability and reduced maintenance. Effective treatment can prevent future invasions, preserving the integrity of buildings and landscaping. Additionally, a pest-free property enhances curb appeal, creating a cleaner, more inviting appearance. Engaging experienced local service providers ensures that pest control efforts are thorough and tailored to the specific needs of Crowley residents.

Get Black Ant Extermination Quotes

  • Black ant extermination services are essential when an infestation threatens residential or commercial properties in areas like Crowley, TX and surrounding communities.
  • Professional ant control may be needed when ants invade kitchens, basements, or outdoor spaces, disrupting daily activities.
  • Extermination services are useful for preventing ant colonies from spreading further in neighborhoods near Fort Worth or Dallas.
  • Ant removal experts can address persistent infestations that do not respond to DIY treatments in nearby towns.
  • Contact local pest control providers to handle large or stubborn black ant populations impacting homes or businesses.

Get Black Ant Extermination Quotes

Black Ant Extermination
Black Ant Extermination
Black Ant Extermination

Black ant extermination services are designed to eliminate infestations of black ants from residential and commercial properties. These services typically involve thorough inspections to identify the extent of the ant problem and locate nesting sites. Treatment methods may include the application of targeted insecticides, baiting systems, and barrier treatments to prevent future invasions. Professionals may also provide advice on sanitation and property modifications to reduce attractants that draw black ants indoors.

Black ant problems can cause significant nuisance and discomfort, especially in homes where they invade kitchens and pantries. While black ants are generally not harmful, their presence can indicate underlying issues such as moisture problems or food sources that need addressing. Infestations can also lead to structural concerns if ants establish colonies within walls or foundations. Effective extermination helps restore comfort and hygiene by removing the pests and preventing recurring issues.

Various types of properties utilize black ant extermination services, including single-family homes, apartment complexes, and commercial buildings. Residential properties often seek these services to protect food storage areas and maintain a clean living environment. Commercial establishments, especially food service businesses, may require regular treatments to comply with health standards and prevent disruptions caused by ant infestations. Additionally, property managers and landlords frequently contact local pros to manage ant problems across multiple units or premises.

Engaging with local pest control providers ensures that property owners and managers receive tailored solutions suited to their specific needs. These professionals can assess the severity of the infestation, recommend appropriate treatment options, and implement strategies to control and prevent future black ant invasions. Contacting a local expert can help maintain property integrity and hygiene while addressing the nuisance caused by black ants effectively.

The overview below groups typical Black Ant Extermination projects into broad ranges so you can see how smaller, mid-sized, and larger jobs often compare in Crowley, TX.

In many markets, a large share of routine jobs stays in the lower and middle ranges, while only a smaller percentage of projects moves into the highest bands when the work is more complex or site conditions are harder than average.

Initial Inspection - The cost for a black ant extermination inspection typically ranges from $50 to $150. This fee covers identifying the extent of the infestation and assessing the best treatment options.

One-Time Treatment - A single treatment for black ant extermination usually costs between $100 and $300. Prices vary depending on the size of the affected area and the severity of the infestation.

Follow-Up Services - Follow-up visits to ensure black ant control can range from $50 to $150 per session. These visits help to monitor the situation and apply additional treatments if necessary.

Integrated Pest Management - Comprehensive pest management plans may cost between $200 and $500. These plans include multiple treatments and preventative measures to control black ant populations over time.

Actual totals will depend on details like access to the work area, the scope of the project, and the materials selected, so use these as general starting points rather than exact figures.

Get a Black Ant Extermination Quote

Ant Extermination - Local pest control providers offer specialized services to eliminate black ants and prevent future infestations in residential and commercial properties.

Insect Control - Service professionals utilize targeted treatments to address black ant issues, ensuring effective removal and ongoing protection.

Home Pest Management - Experts provide comprehensive pest management solutions that include black ant eradication as part of broader property protection strategies.

Commercial Pest Control - Businesses seeking to maintain pest-free environments can connect with local providers experienced in managing ant infestations.

Infestation Inspection - Local pros conduct thorough inspections to identify black ant activity and recommend appropriate treatment options.

Preventative Treatments - Service providers offer preventative solutions to help keep black ants from returning to homes and commercial spaces.

Black Ant Extermination

When selecting a professional for black ant extermination services, it is important to consider the experience and background of local contractors. Homeowners should look for providers who have a proven track record in pest control within the Crowley, TX area, ensuring they are familiar with local ant behaviors and effective treatment methods. Verifying the reputation of these service providers through reputable references or customer feedback can help gauge their reliability and the quality of their work.

Clear communication and well-defined written expectations are essential when working with pest control professionals. Homeowners should seek providers who can articulate their treatment plans, explain the scope of work, and outline any necessary follow-up procedures. Having detailed, written documentation helps set mutual understanding and ensures that both parties are aligned on the services to be performed.

Reputation and trustworthiness are key factors in choosing a pest control service. Homeowners are encouraged to review references or testimonials from previous clients in the area to assess the provider’s professionalism and effectiveness. Additionally, consistent and transparent communication from the contractor can contribute to a smoother experience, allowing homeowners to feel confident in the process and the results of the black ant extermination efforts.

Get a Black Ant Extermination Quote

Property owners in Crowley, TX use Black Ant Extermination services for practical projects around their homes and businesses. The sections below highlight everyday jobs and straightforward project options.

Black Ant Extermination
Black Ant Extermination

Black ant extermination services are often sought by property owners in Crowley, TX, experiencing persistent ant activity around their homes or businesses. Common situations include noticing large ant colonies invading outdoor spaces, finding trails leading inside the building, or dealing with recurring ant infestations despite previous treatments. These services help address the immediate nuisance and prevent potential damage or contamination caused by ant colonies, ensuring a more comfortable living or working environment.

Property owners may also consider ant extermination when preparing for events or seasonal changes that tend to increase ant activity. In Crowley, TX, the warm climate can encourage ant populations to grow rapidly, making professional extermination a practical solution for maintaining pest-free properties. Local service providers can assist with targeted treatments to eliminate existing colonies and implement strategies to reduce the likelihood of future invasions, supporting ongoing property maintenance and hygiene.

Get a Black Ant Extermination Quote

Why are black ants attracted to my home? Black ants are drawn to food sources, moisture, and shelter, which are commonly found in residential areas like kitchens and basements.

How can I prevent black ant infestations? Keeping food stored properly, sealing entry points, and eliminating moisture can help reduce the likelihood of black ant problems.

Are professional extermination services effective against black ants? Yes, local pest control experts use targeted treatments to eliminate black ant colonies and prevent future invasions.

How long does black ant extermination typically take? The duration varies depending on the extent of the infestation, but most treatments are completed within a few visits by local pros.

What should I do before professional treatment for black ants? It's recommended to clean affected areas and remove food debris to enhance the effectiveness of the extermination process.

Black Ant Removal Strategies - Local pest control providers can implement targeted methods to eliminate black ants from residential and commercial properties.

Inspection and Identification - Professionals can assess property infested areas to identify ant entry points and nesting sites for effective treatment planning.

Preventive Measures - Service providers can recommend and apply treatments to reduce the likelihood of future black ant invasions.

Ongoing Monitoring - Local experts can offer monitoring solutions to ensure black ant populations are kept under control over time.

Black Ant Extermination

Considering Black Ant Extermination for a property in Crowley, TX? The sections above highlight common project types, practical options, and details that often shape the scope of work.

When you are ready, use the quote form to share a few details about your project. Local pros can review the basics and respond with options that match what you have in mind.

Get a Black Ant Extermination Quote

Black Ant Extermination Quotes

Our Trusted Partners
Cantu Pest Control
Orkin
Hawx Pest Control
Mosquito Shield