Local Service Overview

Get Ants Extermination Service in Flower Mound, TX

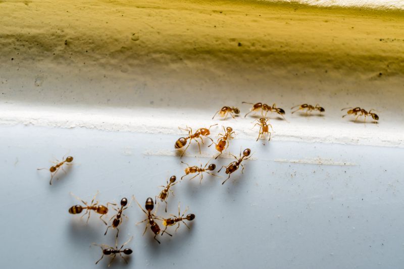
Ants extermination services for property owners in Flower Mound, TX, and nearby areas address ant infestations, prevent future invasions, and handle residential and commercial pest control projects.

Flower Mound, TX

Ants extermination services in Flower Mound, TX, are essential for property owners seeking to maintain a comfortable and functional living or working environment. Ant invasions can disrupt daily routines, damage structures, and compromise cleanliness, making professional extermination a practical solution. By addressing ant problems promptly, property owners can enjoy peace of mind, knowing their spaces are free from pests that can cause inconvenience and potential health concerns.

Engaging with local extermination professionals offers several benefits, including enhanced safety, increased durability of property features, and reduced ongoing maintenance. Effective ant control can also improve curb appeal by preventing unsightly nests and damage, helping properties retain their aesthetic value. Property owners often look for reliable services that deliver lasting results, ensuring their spaces remain safe, functional, and visually appealing over time.

Get Ants Extermination Service Quotes

  • Ants Extermination Service - individuals dealing with an ant infestation in their home or business can benefit from professional extermination.
  • Ants Control for Commercial Properties - businesses experiencing ant problems that threaten hygiene or customer experience should seek expert pest control.
  • Ants Treatment in Residential Areas - homeowners in neighborhoods near Flower Mound, TX, and surrounding communities may need assistance with ant removal.
  • Ants Nest Removal Services - property owners noticing ant nests around their foundation or yard can contact local specialists for targeted solutions.
  • Preventative Ant Management - those looking to reduce the risk of future ant invasions can consult with pest control providers about ongoing prevention strategies.

Get Ants Extermination Service Quotes

Ants Extermination Service
Ants Extermination Service
Ants Extermination Service

Ants extermination services involve identifying and eliminating ant infestations within residential, commercial, or industrial properties. Professional pest control providers use a combination of inspection techniques and targeted treatments to locate ant colonies and disrupt their activity. These services often include applying specialized baits, dusts, or sprays designed to eradicate ants at their source, preventing future invasions. The goal is to create a pest-free environment by addressing both visible ants and hidden colonies that may be located inside walls, under floors, or in outdoor areas.

Ant problems can lead to various issues for property owners. Besides causing nuisance and discomfort, ants can contaminate food supplies and damage property by nesting in structural elements or wiring. Certain species, such as carpenter ants, are known to compromise the integrity of wood structures, potentially leading to costly repairs. Professional extermination services help mitigate these risks by effectively removing the infestation and implementing preventative measures to reduce the likelihood of recurring problems.

Properties that typically utilize ant extermination services include single-family homes, apartment complexes, restaurants, retail stores, and office buildings. Residential properties often require treatment in kitchens, basements, or outdoor garden areas where ants are most active. Commercial spaces, especially food service establishments, prioritize pest control to maintain hygiene standards and comply with health regulations. In industrial settings, pest control may focus on safeguarding inventory and infrastructure from ant-related damage or contamination.

Engaging with local pest control providers ensures that property owners receive tailored ant extermination solutions suited to their specific needs. These professionals conduct thorough inspections to determine the extent of the infestation and recommend appropriate treatment strategies. Regular maintenance or follow-up services may be advised to ensure long-term control and to prevent future ant invasions. Contacting experienced local experts can help maintain a pest-free environment and protect property value.

The overview below groups typical Ants Extermination Service projects into broad ranges so you can see how smaller, mid-sized, and larger jobs often compare in Flower Mound, TX.

In many markets, a large share of routine jobs stays in the lower and middle ranges, while only a smaller percentage of projects moves into the highest bands when the work is more complex or site conditions are harder than average.

Initial Inspection - The cost for an ant inspection typically ranges from $50 to $150, depending on the property size and extent of the infestation. This fee covers a thorough assessment by local service providers in Flower Mound, TX. Additional treatment costs are usually separate.

One-Time Treatment - A single ant extermination service generally costs between $100 and $300. Larger properties or severe infestations may lead to higher prices within this range. Service providers tailor treatments to specific ant species and infestation levels.

Recurring Service Plans - Ongoing ant control plans can cost between $30 and $70 per month. These plans often include regular treatments and inspections to prevent future infestations in Flower Mound and nearby areas. Prices vary based on property size and service frequency.

Emergency or Special Treatments - Emergency or specialized ant treatments may range from $150 to $400, depending on the urgency and complexity of the situation. Local pros provide targeted solutions for difficult or persistent ant problems in the region. Costs are influenced by the treatment method used.

Actual totals will depend on details like access to the work area, the scope of the project, and the materials selected, so use these as general starting points rather than exact figures.

Get an Ants Extermination Service Quote

Ants Extermination services involve professional providers who eliminate ant infestations in residential and commercial properties. They assess the affected areas and apply targeted treatments to remove ants effectively.

Ants Control for Homes focuses on identifying ant entry points and nests within household structures, with local pros implementing tailored exclusion and extermination methods.

Commercial Ants Removal services are designed to address ant problems in business environments, helping maintain a pest-free workspace through specialized treatment plans.

Outdoor Ants Treatment involves treating yards, gardens, and outdoor spaces to prevent ant colonies from spreading into buildings, with experts applying barrier methods and baiting systems.

Ants Inspection and Consultation services provide property assessments to locate ant nests and entry points, offering recommendations for ongoing prevention and control.

Emergency Ants Extermination services are available for urgent infestations, with local pros providing rapid response treatments to address severe ant problems promptly.

Ants Extermination Service

When selecting a professional for ant extermination services, experience is a key factor to consider. Homeowners should look for local service providers with a proven track record in handling ant infestations similar to their specific situation. Established providers often have a history of working within the community, which can be an indicator of their familiarity with common local ant species and effective treatment methods. Reviewing the background and years of service of local pros can help ensure that the selected contractor has the necessary expertise to address the problem efficiently.

Clear communication and well-defined written expectations are essential when working with a pest control service provider. Pros should be able to provide detailed descriptions of their treatment methods, any preparation needed prior to service, and follow-up procedures. Homeowners are encouraged to seek out providers who are transparent about their processes and willing to answer questions thoroughly. Having these expectations documented can help prevent misunderstandings and ensure that both parties are aligned on the scope of work and desired outcomes.

Reputable references and positive feedback from previous clients serve as valuable indicators of a local contractor’s reliability and professionalism. Homeowners may want to ask potential pros for references or look for reviews that highlight consistent quality of service, responsiveness, and customer satisfaction. Effective communication throughout the process is also critical; service providers who keep clients informed about treatment plans, timelines, and any necessary follow-up contribute to a smoother experience. These factors collectively help in selecting a pest control professional who is trustworthy and capable of effectively managing ant extermination needs.

Get an Ants Extermination Service Quote

Property owners in Flower Mound, TX use Ants Extermination Service services for practical projects around their homes and businesses. The sections below highlight everyday jobs and straightforward project options.

Ants Extermination Service
Ants Extermination Service

Ants extermination services are commonly sought after by property owners in Flower Mound, TX, when they notice the presence of ants invading their homes or businesses. Common situations include discovering trails of ants along kitchen counters, near food storage areas, or in outdoor spaces that lead indoors. Property owners may also seek assistance after experiencing increased ant activity during warmer months, which can indicate a larger infestation that needs professional attention to prevent further invasion.

Many property owners in Flower Mound turn to local extermination providers when ants become a persistent nuisance or threaten the cleanliness and safety of their spaces. Reasons for seeking these services often include the desire to eliminate existing ant colonies, prevent future infestations, or address specific types of ants known to cause damage or carry pests. Engaging with experienced local professionals can help ensure effective removal and provide guidance on preventing future problems.

Get an Ants Extermination Service Quote

How do ant extermination services work? Ant extermination services typically involve identifying the ant species, locating their nests, and applying targeted treatments to eliminate colonies and prevent future infestations.

Are ant treatments safe for pets and children? Most professional ant extermination services use treatments that are considered safe when applied by trained technicians, but it's advisable to follow any specific safety instructions provided by the service provider.

How long does an ant extermination treatment last? The effectiveness and duration of ant treatments can vary depending on the method used and the extent of the infestation; local service providers can offer guidance on maintenance and follow-up treatments.

What types of ants can be treated? Professional extermination services can address various ant species, including odorous house ants, carpenter ants, and fire ants, among others.

How can I prevent future ant problems? Preventative measures often include sealing entry points, maintaining cleanliness, and consulting with local pros for ongoing pest management strategies.

Ants Extermination Methods - Local service providers offer a variety of ant control techniques, including baiting and residual treatments, tailored to specific infestations.

Inspection and Identification - Pros can identify ant species and entry points to develop targeted extermination strategies for residential and commercial properties.

Preventive Ant Control Tips - Service providers can advise on sanitation and structural adjustments to help prevent future ant invasions.

Ongoing Monitoring and Maintenance - Regular inspections and treatments from local pros can help maintain ant-free environments over time.

Ants Extermination Service

Considering Ants Extermination Service for a property in Flower Mound, TX? The sections above highlight common project types, practical options, and details that often shape the scope of work.

When you are ready, use the quote form to share a few details about your project. Local pros can review the basics and respond with options that match what you have in mind.

Get an Ants Extermination Service Quote

Ants Extermination Quotes

Our Trusted Partners
Cantu Pest Control
Orkin
Hawx Pest Control