Local Service Overview

Get Red Ant Extermination in Bedford, TX

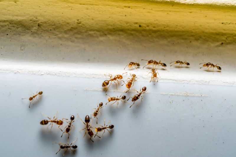
Red Ant Extermination services for Bedford, TX, property owners address pest infestations such as ants, termites, roaches, and rodents through treatment, prevention, and ongoing monitoring.

Bedford, TX

Red ant extermination services are a practical solution for property owners in Bedford, TX seeking to protect their homes and outdoor spaces from invasive pests. These services help eliminate ant colonies that can cause structural damage, contaminate food supplies, or create uncomfortable living environments. By addressing ant infestations promptly, property owners can enhance the safety and comfort of their homes, reducing the likelihood of future invasions and minimizing the need for ongoing pest management.

Engaging professional extermination services also offers benefits related to maintaining property durability and curb appeal. Removing ants effectively can prevent potential damage to landscaping, foundations, and other structural elements, helping to preserve the property's integrity over time. Additionally, a pest-free exterior contributes to a cleaner, more attractive appearance, supporting the overall functionality and value of the property while reducing maintenance concerns associated with pest issues.

Get Red Ant Extermination Quotes

  • Red Ant Extermination services are needed when red ants invade residential or commercial properties in Bedford, TX and surrounding areas.
  • Red Ant Extermination is essential for property owners experiencing persistent ant colonies that threaten landscaping or indoor spaces.
  • Red Ant Extermination may be required after noticing an increase in ant activity around outdoor patios, gardens, or building foundations.
  • Red Ant Extermination is recommended when red ants pose a risk to children, pets, or cause damage to structures.
  • Red Ant Extermination services are sought when traditional DIY methods fail to eliminate recurring red ant infestations.

Get Red Ant Extermination Quotes

Red Ant Extermination
Red Ant Extermination
Red Ant Extermination

Red ant extermination services focus on eliminating red ant colonies from residential, commercial, and industrial properties. These services typically involve identifying the locations of ant nests, applying targeted treatments to eradicate the colonies, and implementing preventive measures to reduce the likelihood of future infestations. The process often includes the use of specialized baits, insecticides, and barrier treatments designed to eliminate ants at both the surface and underground levels. Professional exterminators may also provide advice on sanitation and property modifications to discourage red ants from returning.

Red ant problems can cause significant discomfort and nuisance, especially in areas where they are active around food sources or high-traffic zones. Infestations may lead to disturbed outdoor activities and can sometimes result in minor bites or stings. Additionally, large colonies can cause damage to plants, wood structures, and electrical equipment if left untreated. Addressing these issues promptly through professional extermination services helps maintain a safe and comfortable environment, preventing the spread of nests and reducing ongoing pest activity.

Properties that commonly seek red ant extermination services include single-family homes, apartment complexes, restaurants, and retail stores. Residential properties often require treatment around yards, gardens, and patios where ants tend to build nests. Commercial properties, especially those involved in food handling or storage, prioritize pest control to meet health and safety standards. Additionally, outdoor public spaces, parks, and community facilities may also utilize these services to manage ant populations and ensure a pest-free environment for visitors.

Engaging with local pest control providers for red ant extermination offers tailored solutions suited to specific property types and infestation levels. These professionals assess the severity of the problem, recommend appropriate treatment options, and implement strategies to control and prevent future outbreaks. By partnering with experienced service providers, property owners can effectively manage red ant issues and maintain a pest-free environment in both residential and commercial settings.

The overview below groups typical Red Ant Extermination projects into broad ranges so you can see how smaller, mid-sized, and larger jobs often compare in Bedford, TX.

In many markets, a large share of routine jobs stays in the lower and middle ranges, while only a smaller percentage of projects moves into the highest bands when the work is more complex or site conditions are harder than average.

Initial Inspection - The cost for a comprehensive inspection typically ranges from $100 to $300, depending on the property's size and complexity. This fee covers an assessment of the infested areas and identification of pest activity.

Basic Pest Treatment - Standard treatments for common pests usually cost between $150 and $400. For example, a residential property in Bedford, TX, might expect to pay around $200 for initial pest control services.

Deep or Specialized Treatments - More extensive or targeted treatments, such as for severe infestations, can range from $300 to $800. These often involve multiple visits or advanced techniques to eliminate pests effectively.

Ongoing Maintenance - Regular service plans or follow-up treatments generally cost between $50 and $150 per visit. These plans help maintain pest-free conditions over time and vary based on property size and pest type.

Actual totals will depend on details like access to the work area, the scope of the project, and the materials selected, so use these as general starting points rather than exact figures.

Get a Red Ant Extermination Quote

Ant Extermination - Local pest control providers offer ant extermination services to eliminate colonies and prevent future infestations in residential and commercial properties.

Termite Control - Specialists in termite treatment and prevention help protect structures from damage caused by these wood-destroying insects.

Carpenter Ant Removal - Service providers address carpenter ant issues by removing active colonies and repairing any damage caused by these insects.

Pavement Ant Treatment - Pros offer targeted solutions to control pavement ants around building foundations and outdoor areas.

Fire Ant Management - Local exterminators provide treatment options to reduce fire ant populations and minimize their impact on outdoor spaces.

Wildlife and Pest Exclusion - Experts help prevent ant invasions through exclusion methods and sealing entry points around properties.

Red Ant Extermination

When selecting a professional for red ant extermination, it’s important to consider the experience of local service providers. Experienced pros typically have a history of handling ant infestations effectively, which can contribute to more reliable results. Homeowners may want to inquire about how long a contractor has been operating in the area and their familiarity with local ant species and common issues. This background can offer insight into their ability to develop appropriate treatment strategies and address specific homeowner concerns.

Clear communication and well-defined expectations are key when working with pest control providers. Reputable local pros usually provide detailed information about their methods, what homeowners can expect during and after treatment, and any necessary follow-up. Establishing open lines of communication helps ensure that homeowners are well-informed about the process, potential outcomes, and any precautions to take. This transparency can foster trust and help avoid misunderstandings throughout the service.

References and reputation are valuable indicators of a contractor’s reliability. Homeowners are encouraged to seek out local providers with positive references from previous clients in Bedford, TX, or nearby areas. Reputable service providers often have a track record of satisfied customers, which can be verified through reviews or direct recommendations. Additionally, a professional’s reputation for responsiveness, professionalism, and quality work can be an important factor in choosing the right pest control specialist for red ant extermination.

Get a Red Ant Extermination Quote

Property owners in Bedford, TX use Red Ant Extermination services for practical projects around their homes and businesses. The sections below highlight everyday jobs and straightforward project options.

Red Ant Extermination
Red Ant Extermination

Red ant extermination services are often sought by property owners in Bedford, TX when they notice persistent ant activity around their homes or businesses. These insects can invade indoor and outdoor spaces, creating nuisances and potential structural concerns. Local service providers can assist with identifying ant colonies, applying targeted treatments, and implementing prevention strategies to help keep properties ant-free.

Homeowners and property managers may also look for red ant extermination after experiencing infestations that threaten gardens, lawns, or outdoor living areas. Red ants can be aggressive and may pose stinging risks to residents and visitors. Engaging with local pest control professionals can help address these issues effectively, ensuring that outdoor spaces remain safe and comfortable.

Get a Red Ant Extermination Quote

How do I know if I have a red ant infestation? Signs of a red ant infestation include visible ants crawling indoors or outdoors, small mounds of soil near structures, and ants entering through cracks or openings.

What are common methods used by extermination professionals to eliminate red ants? Local service providers often use targeted baiting, residual insecticides, and barrier treatments to control red ant populations.

Are red ants dangerous to humans and pets? Red ants can bite and sting if disturbed, which may cause irritation or allergic reactions in some individuals and pets.

How long does a typical red ant treatment take to be effective? Treatment effectiveness varies, but many providers aim for noticeable reduction within a few days after application.

Can I prevent future red ant infestations? Professionals may recommend sealing entry points, removing food sources, and maintaining outdoor areas to reduce the likelihood of future infestations.

Red Ant Extermination Solutions - Local service providers offer targeted treatments to eliminate red ants from residential and commercial properties.

Inspection and Identification - Pros can assess infested areas to identify ant nests and determine the most effective removal strategies.

Preventive Treatments - Experts provide ongoing prevention methods to help reduce the likelihood of future red ant infestations.

Customized Pest Control Plans - Service providers develop tailored plans to address specific red ant issues and property needs.

Red Ant Extermination

Considering Red Ant Extermination for a property in Bedford, TX? The sections above highlight common project types, practical options, and details that often shape the scope of work.

When you are ready, use the quote form to share a few details about your project. Local pros can review the basics and respond with options that match what you have in mind.

Get a Red Ant Extermination Quote

Red Ant Extermination Quotes

Our Trusted Partners
Cantu Pest Control
Orkin
Hawx Pest Control
Mosquito Shield